渔获战报

cjd0iVrLEJ-UpclN7w34Zh8QVsCSM.jpg
渔获战报
Oct 14, 2020

今天风大、走水、鱼口不好

时间:2020年10月12日 1447天气:阴有小雨钓场:河中光水区(江河)饵料:酒米、蚯蚓鱼种:鲫鱼 黄颡鱼 其他鱼 钓法:传统钓 竿长:54米 63米 线组:主线10、子线06钩型:黑袖4鱼钩早饭后,发现外面在下小雨,虽然雨不大,但是嘀嗒嘀嗒下个不停。我和老伴坐在家...

cjd0iVFXQi9AJlx0Z8rOeT7EHp1zN.jpeg
渔获战报
Oct 14, 2020

磨刀不误砍柴工,昨日的探钓为今天的作钓开山辟路

一、失败的作钓与成功的探钓。 假期在小河作钓了两日,已没了新鲜感。 准备换地方,地点:宁西水库。 这水库春天的时候来了几次,每次来的时候,鲫鱼、翘嘴、皇军的,多多少少都能有点收获。 后来发现了小河,觉得小河的鱼情比水库好得多,因此后来大部...

cjd0iVITq5hLBCKHNR8l2XWQ9DA3b.jpeg
渔获战报
Oct 14, 2020

丢三落四,艰难做钓

预报今天降温六度,吃过早饭就在揣摩要不要去钓鱼,思前想后还是经受不了诱惑,决定去钓鱼,昨天在家没事把渔具都清洗了一遍,结果到了钓点傻眼了,只带的红虫却没带红虫夹子和皮筋,既来之则安之,凑合玩会,钓鱼人就是这样,鱼获多少无所谓,开心就...

cjd0iVjcHSpvPNQn2M63JIWty9mwG.jpeg
渔获战报
Oct 14, 2020

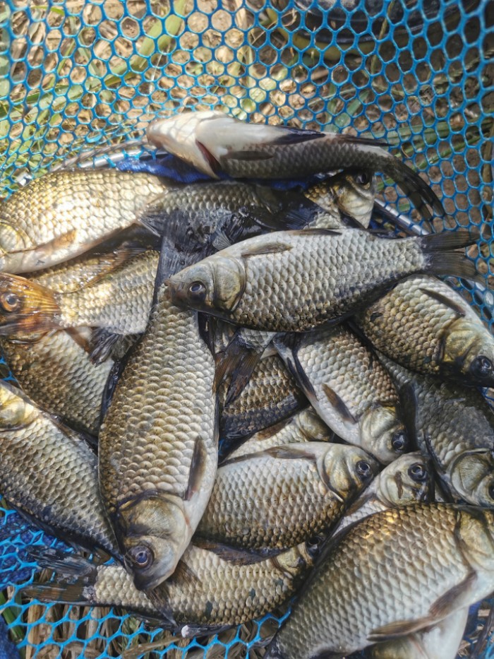
放假第二天,去战大溪河,鲫鱼爆护

时间:2020年10月02日 2155天气:晴天,北风3级,温度17一23度,气压1011hPa,湿度89,适宜钓鱼钓场:江苏省扬州市宝应县曹荀大溪河三横河支流(江河 溪流)饵料:野战蓝鲫一份,九一八腥香饵一份,拉丝粉少许,蚯蚓,自制窝料等鱼种:鲫鱼 黄颡鱼 翘嘴 其他鱼 钓...

cjd0iVri4ZGVfwgz6o7tk3YbcUaWm.jpeg
渔获战报
Oct 14, 2020

国庆第三钓,天冷夜钓鱼口差,即使正钓也白搭

时间:2020年10月06日 2245天气:阴钓场:桥南老郭鱼池()饵料:黄面,浮水颗粒线组:2515钩型:伊豆9号无刺十月六日,舅舅他们终于回老家去了,领导和孩子已经上班的上班,上学的上学,而我的假期还有两天余额。不负光阴,收拾出发,直奔鱼池!!! 天气显...

cjd0iVKsFv72BHg1zk8ViyQ3aUutG.jpeg
渔获战报
Oct 14, 2020

拦河埧下钓青尾,半天上两条

时间:2020年10月11日 2108天气:晴钓场:千岛湖新安江支流大洲源河()饵料:江湖猎人霸野通,大蓝鲫腥世界。鱼种: 线组:2十1钩型:伊豆4芦苇荡二次鱼获不大理想,今天确定换地方了。想来想去还是到村中拦河坝下去钓钓看如何。 拦河坝下确定有鱼的种类是...

cjd0iVQU1nR0xEceOLZlo5vkzgsWT.jpeg
渔获战报
Oct 14, 2020

跑遍方圆几十里,求来鱼获两三条

时间:2020年10月11日 1749天气:阴有时雨。钓场:沂河,沭河。(江河)饵料:蓝鲫 ,蚯蚓。鱼种:鲫鱼 其他鱼 今天的时间昨晚就计划好了要去钓鱼 ,可以钓一整天,我准备玩玩手竿台钓,目标鲫鱼。好几个月没钓手竿也不知道哪里鱼情好,平台钓友私信俺个好地...

cjd0iV31aX9VQRywpTncJSAEGiCo5.jpg
渔获战报
Oct 14, 2020

今天开始鱼儿没口,10点半以后才开始上鱼

时间:2020年10月11日 1642天气:阴转多云钓场:河中光水处()饵料:酒米、蚯蚓线组:主线10、子线06钩型:金袖4鱼钩今天上午钓鱼的人比较多,我们8点多到达河边,有不少人已经在钓鱼了。准备还去前几天的钓点,种辣椒️的农妇远远的在路边截住我们,说她连...

cjd0iVIMbFW46R1Ale7dJ3npHDtmq.jpg
渔获战报
Oct 14, 2020

及时调整策略,得到不一样的效果

时间:20201011 0813天气:阴转多云钓场:徒骇河聊阳路大桥(江河)饵料:老G鱼种:鲫鱼 钓法:台钓 竿长:45米 线组:主线10 子线06钩型:伊豆5号国庆节过去了,这个国庆节八天假期,算是长假了,可惜的是没能利用假期好好地钓几次鱼,也算是一大遗憾吧,周五...

cjd0iVognHJim8FBDyPOseQ6A9CZ3.jpeg
渔获战报
Oct 14, 2020

秋风秋雨垂钓忙 解锁黄鸭叫

10月3日,今天我值班。上午处理了一些俗事,上交了一些资料,不知不觉已经到了中午,于是为家人准备午餐。吃完已经到了13点多。下午两点多出发了。 钓鱼还是经常钓,但已经有一个多月未写帖子了。不忘钓鱼初心,牢记放生使命。钓鱼写帖一个都不能少。 出...

cjd0iVSXWoztEyIcJ3NTjv5F1mK4R.jpeg
渔获战报
Oct 14, 2020

夜钓鱼口欠 鱼获又放生

《钓鱼日记》2020之第247钓 十月十日白天,天气晴朗,气温1524度,风力风向北风二级,气压1017百帕,云量只有10,是个很不错的钓鱼好天气,但吸取了教训,白天暂时还是不出钓,主要影响钓鱼的原因有以下几点: 一、河道例行性走水是常态,不是向东就是向西,...

cjd0iVdckSPAEfO6BqWFKyhxrpTRn.jpeg
渔获战报
Oct 14, 2020

初试抖灰面,麦穗闹腾略有好转

时间:2020年10月01日 1128天气:晴天钓场:南京郊区()饵料:酒米蚯蚓灰面鱼种: 线组:08主线通线06子线通线钩型:金袖六号自制朝天钩沙沙麦四号白袖2020野钓系列之六十二 昨天早上起早玩了一会传统钓,因为要上班,本来七点之前就要收杆的。奈何鲫鱼妹妹太...

cjd0iVS2yVzb9NRrxfLAJtnBphDwi.jpeg
渔获战报
Oct 14, 2020

七战堰湾,难续大物梦

时间:2020年10月07日 0738天气:小雨钓场:堰湾(野塘)饵料:玉米鱼种:草鱼 鲤鱼 鲫鱼 钓法:传统钓 矶钓 竿长:45米 63米 线组:32钩型:伊势尼6号转眼之间,已经到了十月七号,假期有点余额不足了。抓紧时间,开启双节第五钓之旅。 地点还是选择在堰湾,因...

cjd0iVBxyIdMUFSt6Gw3r7mZEocQ1.jpeg
渔获战报
Oct 14, 2020

请假去垂钓 收获了了心中喜

10月7日下午,经受不住群里钓友的诱惑,于是向大丫头请假去钓鱼。大丫头同意我去钓一两个小时。 于是,收拾武器,马上出发了。各位看官,为什么要请假呢?因为要带幺丫头呀!!!老婆去做头发去了。 今天天气气温1216度,气压1007,还是不错的,适合钓鱼?...

cjd0iVR5oHbznrd4IqiSCXTMGQYve.jpg
渔获战报
Oct 14, 2020

今天鱼儿迟迟不开口,但后来收获满满

时间:2020年10月10日 1518天气:多云转阴钓场:河中光水区(江河)饵料:酒米、蚯蚓鱼种:鲫鱼 翘嘴 其他鱼 钓法:传统钓 竿长:54米 线组:主线10、子线06钩型:黑袖4鱼钩早上7点30分,我们夫妻俩和钓友老路一行三人,各骑一辆电动车,前去汉王钓鱼。半个小时...

cjd0iVXzmtuOcU9wYl364AIPKf0Mq.jpeg
渔获战报
Oct 14, 2020

双节后垂钓~~~一如既

时间:2020年10月09日 1418天气:晴钓场:清水河通泰桥钓场(江河)饵料:蚯蚓,面食鱼种:鲫鱼 双节过后第一次出来垂钓,天气一如既往晴空万里,一览无余,河面如镜,似乎一切还沉静在过节的气氛中。今天熟悉的钓友都没有出来,只有三三两两陌生人,迅速的...

cjd0iV248jh5H-yk0IiBnYvMSVZoA.jpeg
渔获战报
Oct 14, 2020

国庆节第一钓-抛竿立功

时间:2020年10月05日 1100天气:阴大雨钓场:拾桥河()饵料:糠饼线组:30钩型:伊豆8中秋国庆佳节,居然是一直在雨中, 第一天《情深深雨蒙蒙》 第二天:《雨一直下 》 第三天《相思风雨中》 第四天《天在下雨我在想你》 第五天《像雾像雨又像风》 好在早上...

cjd0iV7JRXl20uWd4CbaV8IQyt-3H.jpeg
渔获战报
Oct 14, 2020

作钓时长鱼获少 邻居老太喂产猫

《钓鱼日记》2020之第246钓 十月十日上午天气晴好,白云朵朵,舒适又惬意,温度1524℃,风向风力北风三级,气压1024百帕,早上协助做好早饭,煎好鸡蛋,伺候好小孙女起床,吃饭送到幼儿园,就到河边步道遛了三公里的弯儿,见到两三个钓友在钓鱼,回到家拿起...

cjd0iVDaSkhtKy5nOfEbF78PNGsU4.jpeg
渔获战报
Oct 14, 2020

国庆第二钓,再偷桥南,后半夜爆发夺坑冠

时间:2020年10月03日 2117天气:阴钓场:桥南老郭鱼池(黑坑)饵料:黄面,浮水颗粒鱼种:鲤鱼 钓法:台钓 竿长:57米 线组:315钩型:新关东2号10月1日在亮亮鱼池大钓,虽未能上岸,但也挺开心,因为晚上家人团聚,鱼也特别好吃! 10月2日,我舅舅一家子从老家...

cjd0iVuqIEZbihU0SeOpQ85MCNYcs.jpeg
渔获战报
Oct 14, 2020

代价过大,珍贵鲫鱼

时间:2020年10月08日 2029天气:阴钓场:汾河()饵料:江湖猎人红虫,野战蓝鲫腥香,拉丝粉鱼种: 日藏云内不显影,寒露过后果晶莹。 极目难见花果山,万物渐息入梦中。 昨天,108日,这个国庆佳节的最后一天,也是二十四节气的十七个节日寒露。 寒露过后,...